Description
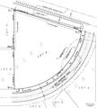
BRING ALL OFFERS!!! Prime Commercial development site. 586 feet of frontage, triangular in shape, abutting railroad tracks. Close to Expressway 77/83, near medical centers, retail, heavy residential in the immediate area. Excellent for multi-family, commercial or medical office, distribution point, etc. CASH or bank Conventional Loan only. Site is already subdivided and ready for construction.
-
0BEDS
-
3.09ACRES
-
0BATHS
-
01/2 BATHS
School Information
Description
BRING ALL OFFERS!!! Prime Commercial development site. 586 feet of frontage, triangular in shape, abutting railroad tracks. Close to Expressway 77/83, near medical centers, retail, heavy residential in the immediate area. Excellent for multi-family, commercial or medical office, distribution point, etc. CASH or bank Conventional Loan only. Site is already subdivided and ready for construction.
